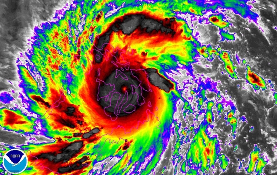
Най-силният тайфун в света за тази година и вероятно най-мощният в историята на Филипините връхлетя централните части на страната, принуждавайки милиони хора да напуснат домовете си, предаде Ройтерс.
След като премина островите Лейте и Самар, тайфунът „Хаян”, който е от най-високата пета категория със скорост на вятъра 313 км/ч, достигна северната част на провинция Себу – популярна туристическа дестинация, където се намира и вторият най-голям град.
Властите предупредиха, че 12 милиона души са изложени на риск, включително жителите на градовете Себу, с население 2.5 милиона души, и райони, които все още се възстановяват от смъртоносната буря от 2011 година и земетресението с магнитуд от 7.1 по Рихтер от миналия месец.
Тайфунът „Хайян" вече достигна най-високата пета категория и се очаква да бъде най-мощната буря, връхлетяла Филипините за тази година. Властите затвориха пристанищата и летищата.
Десетки селища по крайбрежието са евакуирани заради прогнозите за 6-метрови вълни от Тихия океан.




